惠来挂牌出让临港产业园区内 2 地块 国内最大深水海上风电项目拉开序幕
经惠来县人民政府批准,惠来县自然资源局委托揭阳市公共资源交易中心以网上挂牌方式出让临港产业园区内 2 个地块(编号 HL201924、HL201925)的国有建设用地使用权。
HL201924宗地情况
一、地块区位

该地块是临港产业园区风机厂开发项目用地,位于前詹镇赤 澳经济联合社,北接 S235 省道,距揭惠高速(新芦连接线)出入口约 2.5 公里,西南侧有国电投通用码头,南濒临南海,海陆交通便利。
临港产业园是省级产业转移集聚地, 可规划建设总面积25.35平方公里,主导产业为海上风电、装备研发、运维总装和港口物流。
二、功能要求和规划条件

三、竞买条件
(一)中华人民共和国境内外的法人、自然人和其他组织均可单独申请参加竞买,鉴于 HL201924 号地块已明确规划使用条件、建设要求和产业(行业)准入标准,因此不接受自然人或联合体竞买。
(二)惠来临港产业园进驻产业必须符合园区主导产业,为 海上风电、装备研发、运维总装及港口物流等。
1.竞买人入选世界五百强或承诺引入世界五百强合作伙伴(承诺引入合作伙伴应与竞买人签订合作协议);
2.具备研发和生产 10MW 及以上海上风机能力或承诺引入具备研发和生产 10MW 及以上海上风机能力的合作伙伴;
3.土地仅用于重型工业产品组装;
4.无噪声装配流程;
5.风电产业总装工厂;
6.竞买人或承诺引入的合作伙伴在国内外承揽与海上风电场产业项目不少于 1 宗;
(三)HL201924 号地块所有建设内容应严格按照惠来县自然资源局《惠来临港产业园 C-01-01-01 地块用地规划条件》规定执行,工业用地项目所需行政办公及生活服务设施用地面积不得超过工业项目总用地面积的 7%。不得在工业用地项目用地范围内建造成套住宅、专家楼、宾馆、招待所和培训中心等非生产性配套设施。
(四)竞得人须按约定时间开工建设:
1.竞得人须在签订出让合同后,自交地之日起 3 个月内完成项目所有立项、规划报建手续,取得施工许可证,具备开工条件;
2.竞得人取得施工许可证后 30 日内必须开工建设;必须于2021 年1月底前建成交付使用,行政办公及生活服务配套设施同时竣工。开工建设是指依法取得施工许可证后,进入打基础桩、深挖 基坑等实质性施工;竣工是指本项目已全部完成所有设计图纸要求完成的工程量,并依法取得建设工程规划核实意见。
(五)竞买人须根据上述内容提供相关的材料,并接受审核和监管。
1.竞买人须提交竟买条件(二)的相关证明文件并通过惠来县人民政府审核;
2.竞买人须和惠来县人民政府签订《HL201924 号宗地建设使用监管协议书》
3.竞买人须在竞得后3 个工作日内取得审核意见和签订监管协议书。凭审核意见和监管协议书在竞得后 5 个工作日内签订《成交确认书》。
4.未能提交证明文件或未能通过审核并签订监管协议书的, 不得签订《成交确认书》,该竞买行为自动撤销,只退还 50%的保证金,另外50%的保证金作为违约金上缴惠来县财政局,不予退还。
(六)凡在惠来县行政区域内存在下列违法违规违约行为的竞买人及其控股股东,在结案和问题查处整改到位前不得参加本次竞买活动:
1.有拖欠地价款的;
2.存在伪造公文骗取用地和非法倒卖土地等犯罪行为的;
3.存在非法转让土地使用权等违法行为的;
4.因企业原因造成土地闲置一年以上的;
5.开发建设企业违背出让合同约定条件开发利用土地的;
(七)竞买人应详尽了解本次出让地块现状及所列公开出让 条件,提交竞买申请和参与竞买视同对本次出让地块的现状及所列出让条件无异议并全面接受,包括同意接受《国有建设用地使 用权挂牌出让须知》、《HL201924 号宗地建设使用监管协议书》的约束,违反有关条款的,将承担相应的法律责任。
(八)竞买过程中的违约责任。竞买人有下列行为之一的,视为违约,依据相关法律、法规和规章予以取消竞得资格,竞买保证金或定金不予退还:
1.竞买人逾期或拒绝签订《成交确认书》。
2.竞买人逾期或拒绝签订《国有建设用地使用权出让合同》。
3.竞买人提供虚假文件或隐瞒事实的。
4.竞买人采取行贿、串通等非法手段竞得的。
四、成交原则
(一)本次出让按出价最高且不低于底价、符合竞买条件的 原则确定竞得人,由惠来县自然资源局委托揭阳市公共资源交易中心组织公开出让。
(二)竞买人须缴交竞买保证金1345万元。
(四)该地块土地出让起始价2690万元,增价幅度为50万元。
五、时间安排
(一)公告时间:2019 年7月25日。
(二)网上申请报名时间:2019 年 8月14日8时30分至2019 年8月26 日 17 时。
(三)缴交保证金时间:2019年8月14日8 时30分至2019年8月26日17时30 分。
(四)网上挂牌时间(网上报价时间):2019年8月14日8时30分至2019年8月28日15 时00 分。
(五)限时竞价时间:2019 年8月28 日15 时 00 分起。
六、其他需要公告的事项
( 一)竞买方引入的合作伙伴应与惠来县人民政府签订《HL201924 号宗地项目运营使用监管协议书》,协议书包括但不限于以下内容:入园项目应于 2021 年 3 月前投产,项目的净用地投资强度不小于 300 万元/亩,建成投产后年产值不少于 500 万元/亩,年税收(指增值税、企业所得税)不少于 30 万元/亩。违者,项目运营商(乙方合作伙伴)应向甲方支付违约金不少于 30 万元/年亩。该协议应与《HL201924 号宗地建设使用监管协议书》同时签署。若乙方合作伙伴不同意签署以上内容的协议,则不得签订《成交确认书》,该竞买行为自动撤销,只退还 50%的保证金,另外50%的保证金作为违约金上缴惠来县财政局,不予退还。
(二)参加本次网上挂牌出让的申请人,须通过访问揭阳市公共资源交易中心门户网站进入交易平台,并在该平台上下载本次挂牌的出让规划条件、监管协议书模板、公告、竞买须知、合同样本及有关文件,同时按上述文件规定的操作程序参加竞买。
(三)土地开竣工违约责任。竞得人未能按照《国有建设用地使用权出让合同》约定日期或同意延建所另行约定日期开工建设的,土地使用权予以收回;部分土地未开工建设的,该部分土地予以收回。竞得人未能按照《国有建设用地使用权出让合同》约定日期、同意延建所另行约定日期竣工的或开工建设前尚未完 善开发建设手续的,土地使用权予以收回。
(四)改变用途的违约责任。竞得人不得改变土地用途,否则土地使用权予以收回;其他违约责任从《国有建设用地使用权出让合同》约定。
(五)申请人必须办理数字证书并获得授权,才能登陆网上交易系统参加网上挂牌交易活动。
(六)竞买人按照公告要求按时足额缴纳竞买保证金后,方 可取得竞买人资格。竞买保证金须由竞买人支付,竞买保证金以 人民币支付,以网上交易系统显示的银行到账时间为准。
(七)网上报价不可撤回。
(八)竞得人应于竞得之日起 5 个工作日内与揭阳市公共资源交易中心签订《成交确认书》,竞得人不按规定期限签订《成 交确认书》的,视为违约,出让人可取消其竞得资格并有权重新组织挂牌出让。竞得人必须在签订《成交确认书》之日起 10 个工作日内与惠来县自然资源局签订《国有建设用地使用权出让合同》;竞得人逾期不签订合同的,《成交确认书》失效,出让人可 取消其竞得资格并有权重新组织挂牌出让。
(九)成交后,须在一个月内一次性付清土地价款。所有款项均须以现金或银行转账支付,不得抵偿其他任何债务。竞得人不能按时支付国有建设用地使用权出让价款的,自滞纳之日起, 每日按迟延支付款项的 1‰向出让人缴纳违约金,延期付款超过60 日,出让人有权解除合同,竞得人无权要求返还竞买保证金或定金,出让人并可要求竞得人赔偿损失。
(十)成交后,由惠来县自然资源局开具非税缴款通知书, 揭阳市公共资源交易中心代竞得人将竞买保证金缴入惠来县财 政局,保证金抵作合同定金和地价款,成交价款余款由竞得人直接缴入惠来县财政专户。
(十一)竞得人应在惠来县设立项目法人公司(竞得人为法人并已在惠来县注册的除外),且应于网上报名时同时提出申请,股东名称及各自所占份额应与申请人一致,并应在成交之日起 6 个月内持项目法人公司的资格证明文件到惠来县自然资源局签订补充协议,否则,只能以申请人名义申请不动产登记;若项目法人公司在该地块成交后 10 个工作日内成立的,可由项目法人公司直接与惠来县自然资源局按宗地签订《国有建设用地使用权出让合同》。
(十二)竞得人必须按有关规定缴交土地交易过程中产生的税、费,包括办理不动产权证所需缴交的契税等。
(十三)竞得人必须依法合理利用土地,其在受让宗地上的 一切活动,不得损害或者破坏周围环境或设施,使国家或他人遭 受损失的,应负责赔偿。
(十四)该地块的建设开发要求,竞得人应严格按照《国有建设用地使用权出让合同》的各项约定执行。宗地的计容总建筑面积不低于70892 平方米,宗地内的建筑物的建筑密度不得低于30%,建筑系数不得低于50%,宗地内建(构)筑物的建筑限高不得高于45 米。
(十五)政府保留对本地块的城市规划调整权,涉及原宗地的城市规划如有修改,竞得人有义务执行有效的城市规划,并按届时规定办理有关用地手续。
(十六)所有建筑物设计应符合国家现行建筑设计标准、规范的规定。
(十七)用地红线内的建筑设计、建筑用途等必须符合土地利用、规划建设方案及绿色建筑要求,涉及到计划、规划、环保、消防、 绿化、卫生、人防、民航、防洪排涝、电力交通、文物保护等问题,在符合专项规划要求的情况下,经主管部门审批后建设。
(十八)竞得人须按照用地规划条件及其附件要求进行土地利用和开发,对项目的主次出入口和建筑后退红线用地范围内的市政绿化工程负责出资建设。
(十九)竞得人须同意政府规划的下列工程可在其用地红线范围内的规划位置和立体空间建造或通过,政府或公用事业营建主体应当给予合理补偿。
1、供电、供水、煤气、通讯、排污等管线。
2、城市道路、小区分隔道路、绿化、路灯等设施。在兴建建筑或维修工程之前,竞得人必须摸清地段或相邻地段公有的明渠、水道(包括水龙喉管)、电缆、电线以及其他设施的位置,并向有关部门呈报处理的计划;竞得人未获批准之前,不得开工。需要迁移改道、重新铺设或装设的费用,均由竞得人负责。
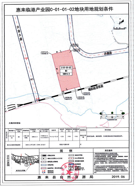
HL201925宗地情况
一、地块区位

该地块是临港产业园区开发项目用地,位于前詹镇赤澳经济联合社,北接S235省道,距揭惠高速(新芦连接线)出入口约2.5公里,西南侧有国电投通用码头,南濒临南海,海陆交通便利。
临港产业园是省级产业转移集聚地,可规划建设总面积25.35平方公里,主导产业为海上风电、装备研发、运维总装和港口物流。
二、功能要求和规划条件

三、竞买条件
(一)中华人民共和国境内外的法人、自然人和其他组织均可单独申请参加竞买,鉴于HL201925号地块已明确规划使用条件、建设要求和产业(行业)准入标准,因此不接受自然人或联合体竞买。
(二)惠来临港产业园进驻产业必须符合园区主导产业,为海上风电、装备研发、运维总装及港口物流等。
1.竞买人入选世界五百强的发电集团企业,清洁能源发电占比40%以上;
2.项目具备总装机50万千瓦,单机4MW以上海上风电场建设、运营条件;
3.土地仅用于5.5MW以上海上风机机组陆上集控中心建设; 4.项目建设、运营期间采用先进技术手段,明显降低自身能耗水平;
(三)入园项目的净用地投资强度不小于300万元/亩,建成投产后年产值不少于500万元/亩,年税收(指增值税、企业所得税)不少于30万元/亩。
(四)HL201925号地块所有建设内容应严格按照惠来县自然资源局《惠来临港产业园C-01-01-02地块用地规划条件》规定执行;工业用地项目所需行政办公及生活服务设施用地面积不得超过工业项目总用地面积的7%.不得在工业用地项目用地范围内建造成套住宅、专家楼、宾馆、招待所和培训中心等非生产性配套设施。
(五)竞得人须按约定时间开工建设:
1.竞得人须在签订出让合同后,自交地之日起3个月内完成项目所有立项、规划报建手续,取得施工许可证,具备开工条件;
2.竞得人取得施工许可证后30日内必须开工建设;开工后18个月内投入使用,行政办公及生活服务配套设施同时竣工。
开工建设是指依法取得施工许可证后,进入打基础桩、深挖基坑等实质性施工;竣工是指本项目已全部完成所有设计图纸要求完成的工程量,并依法取得建设工程规划核实意见。
(六)竞买人须根据上述内容提供相关的材料,并接受审核和监管。
1.竞买人须提交竟买条件(二)的相关证明文件并通过惠来县人民政府审核;
2.须和惠来县人民政府签订《HL201925号宗地建设和运营使用监管协议书》。
3.须在竞得后3个工作日内取得审核意见和签订监管协议书。凭审核意见和监管协议书在竞得后5个工作日内签订《成交确认书》。
4.未能提交证明文件或未能通过审核并签订监管协议书的,不得签订《成交确认书》,该竞买行为自动撤销,只退还50%的保证金,另外50%的保证金作为违约金上缴惠来县财政局,不予退还。
(七)凡在惠来县行政区域内存在下列违法违规违约行为的竞买人及其控股股东,在结案和问题查处整改到位前不得参加本次竞买活动:
1.有拖欠地价款的;
2.存在伪造公文骗取用地和非法倒卖土地等犯罪行为的;
3.存在非法转让土地使用权等违法行为的;
4.因企业原因造成土地闲置一年以上的;
5.开发建设企业违背出让合同约定条件开发利用土地的;
(八)竞买人应详尽了解本次出让地块现状及所列公开出让条件,提交竞买申请和参与竞买视同对本次出让地块的现状及所列出让条件无异议并全面接受,包括同意接受《国有建设用地使用权挂牌出让须知》《HL201925号宗地建设和运营使用监管协议书》的约束,违反有关条款的,将承担相应的法律责任。
(九)竞买过程中的违约责任。竞买人有下列行为之一的,视为违约,依据相关法律、法规和规章予以取消竞得资格,竞买保证金或定金不予退还:
1.竞买人逾期或拒绝签订《成交确认书》。
2.竞买人逾期或拒绝签订《国有建设用地使用权出让合同》。
3.竞买人提供虚假文件或隐瞒事实的。
4.竞买人采取行贿、串通等非法手段竞得的。
四、成交原则
(一)本次出让按出价最高且不低于底价、符合竞买条件的原则确定竞得人,由惠来县自然资源局委托揭阳市公共资源交易中心组织公开出让。
(二)竞买人须缴交竞买保证金1116万元。
(三)该地块土地出让起始价2232万元,增价幅度为50万元。
五、时间安排
(一)公告时间:2019年7月25 日。
(二)网上申请报名时间:2019年8月14日8时30分至2019年8月22日17时。
(三)缴交保证金时间:2019年8月14日8时30分至2019年8月22日17时30分。
(四)网上挂牌时间(网上报价时间):2019年8月14日8时30分至2019年8月26日15时30分。
(五)限时竞价时间:2019年8月26日15时30分起。
六、其他需要公告的事项
(一)参加本次网上挂牌出让的申请人,须通过访问揭阳市公共资源交易中心门户网站进入交易平台,并在该平台上下载本次挂牌的出让规划条件、监管协议书模板(附件1)、公告、竞买须知、合同样本及有关文件,同时按上述文件规定的操作程序参加竞买。
(二)土地开竣工违约责任。竞得人未能按照《国有建设用地使用权出让合同》约定日期或同意延建所另行约定日期开工建设的,土地使用权予以收回;部分土地未开工建设的,该部分土地予以收回。竞得人未能按照《国有建设用地使用权出让合同》约定日期、同意延建所另行约定日期竣工的或开工建设前尚未完善开发建设手续的,土地使用权予以收回。
(三)改变用途的违约责任。竞得人不得改变土地用途,否则土地使用权予以收回;其他违约责任从《国有建设用地使用权出让合同》约定。
(四)申请人必须办理数字证书并获得授权,才能登陆网上交易系统参加网上挂牌交易活动。
(五)竞买人按照公告要求按时足额缴纳竞买保证金后,方可取得竞买人资格。竞买保证金须由竞买人支付,竞买保证金以人民币支付,以网上交易系统显示的银行到账时间为准。
(六)网上报价不可撤回。
(七)竞得人应于竞得之日起5个工作日内与揭阳市公共资源交易中心签订《成交确认书》,竞得人不按规定期限签订《成交确认书》的,视为违约,出让人可取消其竞得资格并有权重新组织挂牌出让。竞得人必须在签订《成交确认书》之日起10个工作日内与惠来县自然资源局签订《国有建设用地使用权出让合同》;竞得人逾期不签订合同的,《成交确认书》失效,出让人可取消其竞得资格并有权重新组织挂牌出让。
(八)成交后,须在一个月内一次性付清土地价款。所有款项均须以现金或银行转账支付,不得抵偿其他任何债务。竞得人不能按时支付国有建设用地使用权出让价款的,自滞纳之日起,每日按迟延支付款项的1‰向出让人缴纳违约金,延期付款超过60日,出让人有权解除合同,竞得人无权要求返还竞买保证金或定金,出让人并可要求竞得人赔偿损失。
(九)成交后,由惠来县自然资源局开具非税缴款通知书,揭阳市公共资源交易中心代竞得人将竞买保证金缴入惠来县财政局,保证金抵作合同定金和地价款,成交价款余款由竞得人直接缴入惠来县财政专户。
(十)竞得人应在惠来县设立项目法人公司(竞得人为法人并已在惠来县注册的除外),且应于网上报名时同时提出申请,股东名称及各自所占份额应与申请人一致,并应在成交之日起6个月内持项目法人公司的资格证明文件到惠来县自然资源局签订补充协议,否则,只能以申请人名义申请不动产登记;若项目法人公司在该地块成交后10个工作日内成立的,可由项目法人公司直接与惠来县自然资源局按宗地签订《国有建设用地使用权出让合同》。
(十一)竞得人必须按有关规定缴交土地交易过程中产生的税、费,包括办理不动产权证所需缴交的契税等。
(十二)竞得人必须依法合理利用土地,其在受让宗地上的一切活动,不得损害或者破坏周围环境或设施,使国家或他人遭受损失的,应负责赔偿。
(十三)该地块的建设开发要求,竞得人应严格按照《国有建设用地使用权出让合同》的各项约定执行。宗地的计容总建筑面积不低于58814平方米,宗地内的建筑物的建筑密度不得低于30%,建筑系数不得低于50%,宗地内建(构)筑物的建筑限高不得高于45米。
(十四)政府保留对本地块的城市规划调整权,涉及原宗地的城市规划如有修改,竞得人有义务执行有效的城市规划,并按届时规定办理有关用地手续。
(十五)所有建筑物设计应符合国家现行建筑设计标准、规范的规定。
(十六)用地红线内的建筑设计、建筑用途等必须符合土地利用、规划建设方案及绿色建筑要求,涉及到计划、规划、环保、消防、绿化、卫生、人防、民航、防洪排涝、电力交通、文物保护等问题,在符合专项规划要求的情况下,经主管部门审批后建设。
(十七)竞得人须按照用地规划条件及其附件要求进行土地利用和开发,对项目的主次出入口和建筑后退红线用地范围内的市政绿化工程负责出资建设。
(十八)竞得人须同意政府规划的下列工程可在其用地红线范围内的规划位置和立体空间建造或通过,政府或公用事业营建主体应当给予合理补偿。
1、供电、供水、煤气、通讯、排污等管线。
2、城市道路、小区分隔道路、绿化、路灯等设施。在兴建建筑或维修工程之前,竞得人必须摸清地段或相邻地段公有的明渠、水道(包括水龙喉管)、电缆、电线以及其他设施的位置,并向有关部门呈报处理的计划;竞得人未获批准之前,不得开工。需要迁移改道、重新铺设或装设的费用,均由竞得人负责。
来源:南方+

